Terreno Agricolo in Vendita a Ravenna
Zona: Classe
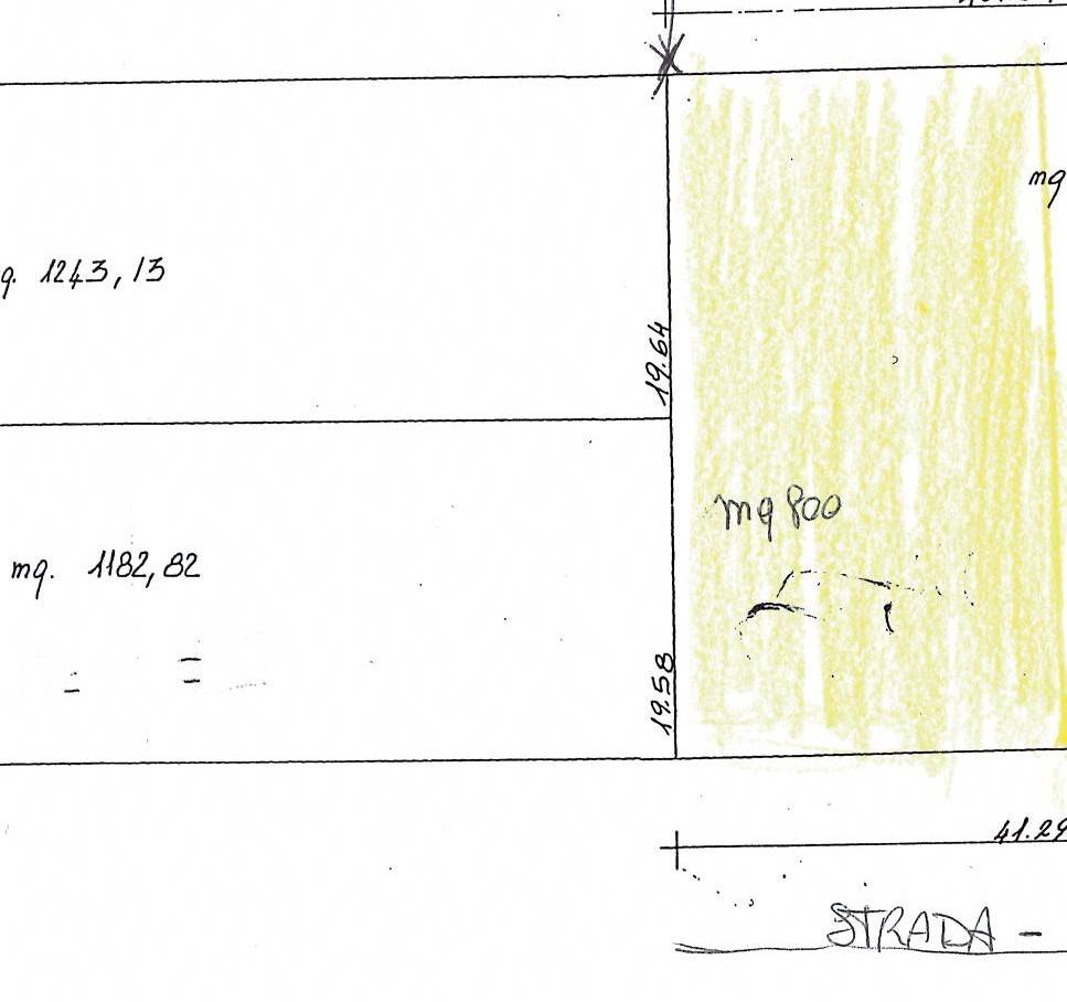
800 mq
Nella campagna di Classe Ravenna vendesi 800 mq di terreno ad orto, con possibilità di corrente elettrica acqua.
Rich. € 15.000,00
Informazioni immobile
Codice: 2291
Contratto: Vendita
Tipologia: Terreno Agricolo
Regione: Emilia Romagna
Provincia: Ravenna
Comune: Ravenna
Zona: Classe
Prezzo: € 15.000
Totale mq: 800 mq
Mq agricoli: 800 mq
Tipo terreno: Pianeggiante
Contattaci
Agenzia immobiliare Pietra su Pietra
Via Romea Sud, 141
Ravenna (RA)
Telefono 054463859
info@agenziaimmobiliarepietrasupietra.it
Condividi
Immobili simili
Ultimo aggiornamento 31-03-2026
